Alamorganik.com-Tanaman jeruk (Citrus sp.) merupakan salah satu komoditas hortikultura yang memiliki nilai ekonomi tinggi di Indonesia. Petani di berbagai daerah membudidayakan jeruk karena buahnya segar, kaya vitamin C, dan mudah dipasarkan. Namun, tanaman jeruk tetap menghadapi ancaman berbagai penyakit yang menurunkan produktivitas bahkan menyebabkan gagal panen jika petani tidak menanganinya dengan baik.
Penyakit pada jeruk dapat disebabkan oleh berbagai faktor, mulai dari infeksi jamur, bakteri, virus, hingga kondisi lingkungan yang tidak mendukung. Pemahaman terhadap jenis penyakit, penyebab, gejala, dan cara pengendaliannya menjadi kunci utama untuk menjaga tanaman jeruk tetap sehat dan produktif. secara alami dan efektif.
Penyakit-Penyakit yang Umum Menyerang Tanaman Jeruk
Tanaman jeruk memiliki beberapa penyakit utama yang sering menjadi kendala dalam budidaya. Berikut beberapa jenis penyakit yang sering dijumpai beserta penyebab dan gejalanya.
1. Penyakit Busuk Akar (Phytophthora nicotianae dan P. palmivora)
Penyebab:
Busuk akar disebabkan oleh jamur tanah Phytophthora sp., yang berkembang pada tanah lembap dengan sistem drainase buruk. Jamur ini menyerang akar dan pangkal batang, menyebabkan gangguan pada sistem penyerapan air dan nutrisi tanaman.
Gejala:
- Daun menguning dan layu meskipun tanah masih lembap.
- Kulit batang di pangkal tanaman mengelupas dan mengeluarkan getah berbau tidak sedap.
- Akar berwarna cokelat kehitaman dan membusuk.
- Tanaman mati perlahan.
Cara Mengatasi:
- Perbaiki sistem drainase agar air tidak menggenang.
- Gunakan Trichoderma sp. sebagai mikroba antagonis alami.
- Pangkas dan musnahkan bagian tanaman yang terinfeksi.
- Gunakan pupuk organik untuk memperbaiki struktur tanah.
2. Penyakit CVPD (Citrus Vein Phloem Degeneration) atau Greening
Penyebab:
Penyakit ini disebabkan oleh bakteri Candidatus Liberibacter asiaticus yang disebarkan oleh kutu loncat jeruk (Diaphorina citri).
Gejala:
- Daun berwarna belang kuning tidak merata.
- Pertumbuhan tanaman kerdil dan daun mengecil.
- Buah menjadi kecil, berbentuk tidak normal, dan berasa pahit.
- Jika dibelah, biji buah berubah warna menjadi cokelat atau hitam.
Cara Mengatasi:
- Gunakan bibit sehat dan bebas CVPD.
- Kendalikan vektor (kutu loncat) dengan perangkap kuning atau pestisida nabati.
- Musnahkan tanaman yang sudah terinfeksi berat.
- Lakukan rotasi tanaman non-jeruk untuk memutus siklus penyakit.
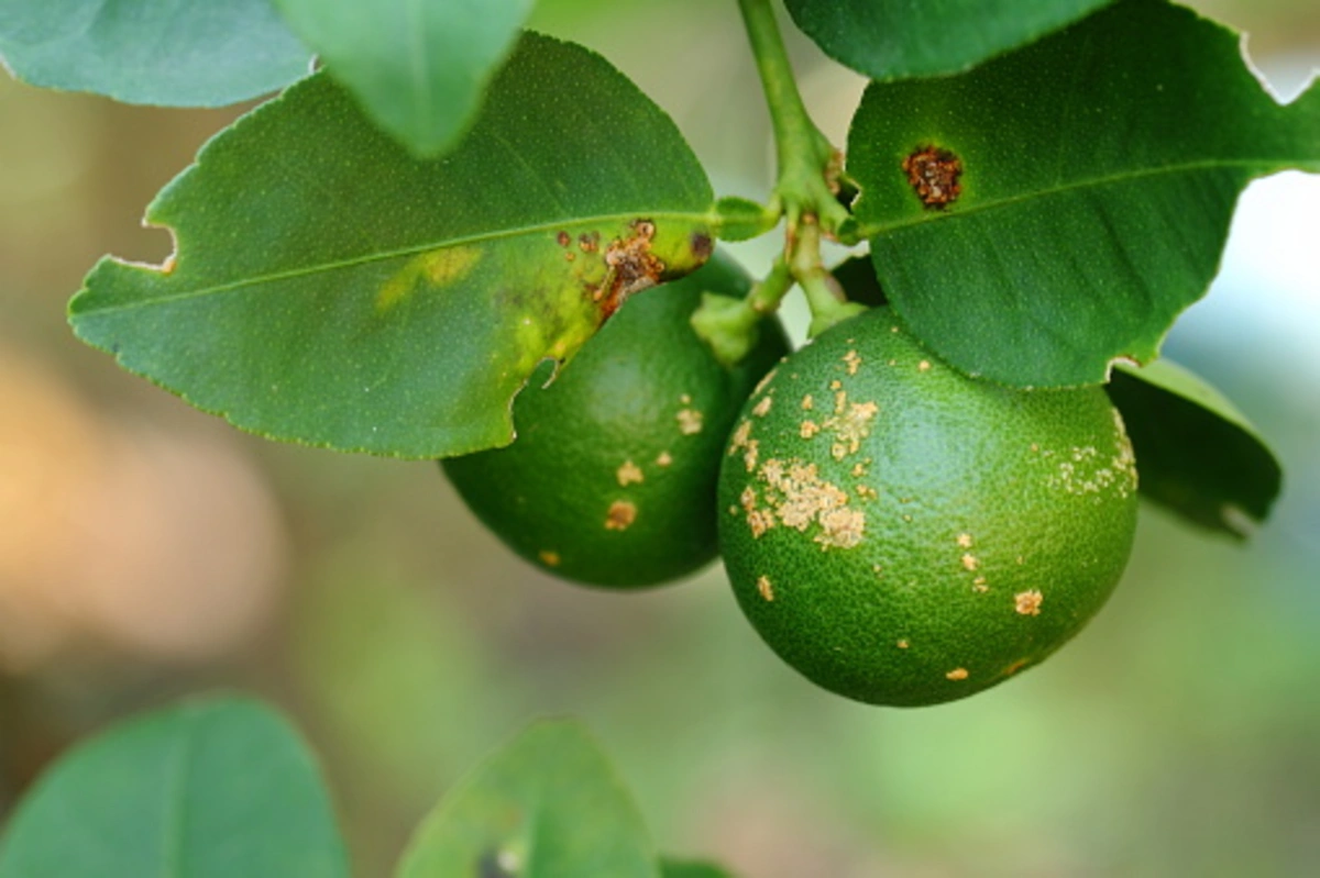
3. Penyakit Kudis (Citrus Canker)

Penyebab:
Penyakit ini disebabkan oleh bakteri Xanthomonas axonopodis pv. citri, yang menyerang daun, buah, dan batang tanaman jeruk.
Gejala:
- Muncul bercak kecil berwarna cokelat pada daun dan buah.
- Bercak membesar dan menonjol dengan tepi kekuningan.
- Buah menjadi kasar dan kualitasnya menurun.
- Daun mudah rontok dan pertumbuhan terhambat.
Cara Mengatasi:
- Pangkas bagian tanaman yang terinfeksi.
- Semprotkan larutan tembaga (Cu) atau pestisida nabati dari daun sirih dan bawang putih.
- Jaga kebersihan lahan dan hindari penyiraman berlebihan.
4. Penyakit Embun Jelaga (Sooty Mold)
Penyebab:
Penyakit ini disebabkan oleh jamur jelaga (Capnodium sp.) yang tumbuh pada permukaan daun atau buah akibat adanya embun madu dari serangga seperti kutu daun dan kutu putih.
Gejala:
- Daun atau buah tampak hitam seperti berjelaga.
- Proses fotosintesis terganggu karena permukaan daun tertutup jamur.
- Buah tampak kotor dan tidak menarik.
Cara Mengatasi:
- Kendalikan hama penghasil embun madu dengan pestisida nabati.
- Cuci daun dengan air bersih untuk menghilangkan lapisan jamur.
- Tingkatkan sirkulasi udara di sekitar tanaman.
5. Penyakit Busuk Buah (Penicillium digitatum)

Penyebab:
Penyakit ini disebabkan oleh jamur Penicillium sp. yang menyerang buah jeruk yang terluka, terutama saat penyimpanan atau musim hujan.
Gejala:
- Muncul bercak lembek berwarna kehijauan pada permukaan buah.
- Buah menjadi busuk dan mengeluarkan bau tidak sedap.
- Buah mudah rontok dari pohon.
Cara Mengatasi:
- Hindari melukai buah saat panen.
- Simpan buah di tempat yang kering dan berventilasi baik.
- Celupkan buah ke dalam larutan air garam atau cuka untuk mencegah jamur.
Faktor-Faktor Penyebab Munculnya Penyakit
Beberapa faktor lingkungan dan kesalahan budidaya, selain mikroorganisme, ikut memicu munculnya penyakit pada tanaman jeruk.
- Kelembapan tinggi dan drainase buruk, kondisi ini mendorong pertumbuhan jamur tanah.
- Suhu ekstrem dan perubahan iklim mendadak, menyebabkan stres pada tanaman.
- Kurangnya sirkulasi udara di kebun, meningkatkan kelembapan dan mempercepat penyebaran penyakit.
- Pemangkasan yang tidak benar, luka pada batang menjadi tempat masuknya patogen.
- Penggunaan bibit tidak sehat, bibit yang sudah terinfeksi dapat menyebarkan penyakit sejak awal.
Strategi Pengendalian dan Pencegahan Penyakit

Petani harus melakukan pengendalian penyakit jeruk secara terpadu dan berkelanjutan agar hasilnya efektif. Berikut langkah-langkah yang dapat mereka terapkan:
- Menggunakan bibit sehat dan bersertifikat untuk mencegah penyakit bawaan.
- Menjaga sanitasi kebun dengan membersihkan gulma dan sisa tanaman sakit.
- Mengatur sistem drainase agar tidak terjadi genangan air di sekitar tanaman.
- Melakukan pemangkasan rutin untuk memperbaiki sirkulasi udara dan mengurangi kelembapan.
- Menggunakan pupuk organik dan mikroba tanah seperti Trichoderma sp. atau JADAM Microbial Solution (JMS) untuk meningkatkan ketahanan tanaman.
- Memanfaatkan pestisida nabati seperti campuran daun sirih, serai, tembakau, atau bawang putih sebagai pengendali alami hama dan penyakit.
Pendekatan organik melindungi lingkungan sekaligus menjaga keseimbangan ekosistem mikroba tanah yang berperan penting bagi kesehatan tanaman.
Dalam proses budidaya jeruk, petani sering menghadapi tantangan berupa berbagai penyakit seperti busuk akar, kudis, CVPD, embun jelaga, dan busuk buah yang dapat menimbulkan kerugian besar jika tidak diantisipasi sejak dini.
Dengan mengenali penyebab dan gejala awal penyakit, petani dapat melakukan langkah pengendalian cepat dan tepat. Penggunaan bibit sehat, penerapan sanitasi kebun, serta pemanfaatan bahan alami seperti mikroba baik dan pestisida nabati menjadi solusi efektif dan ramah lingkungan untuk menjaga kesehatan tanaman.
Petani yang membudidayakan jeruk secara sehat menghasilkan buah berkualitas tinggi sekaligus menciptakan budidaya yang berkelanjutan dan selaras dengan alam. (rull*)









